《安徽蔚蓝塑业科技有限公司年产8000万件智能家居用品+2亿个包装产品+500万件金属制品加工制造项目修建性详细规划调整》批后公开
一、项目名称:《安徽蔚蓝塑业科技有限公司年产8000万件智能家居用品+2亿个包装产品+500万件金属制品加工制造项目修建性详细规划调整》
二、内容简介:
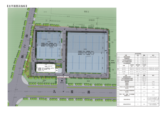
规划地段位于寿县经济开发区(北区)经二路与九双路交叉口东北角。总用地面积为23901.1平方米,总建筑面积20816.49平方米,其中1#厂房建筑面积9016平方米(计容建筑面积27048平方米),2#厂房建筑面积7920平方米(计容建筑面积11809平方米),综合楼建筑面积3859.49平方米(计容建筑面积4214.69平方米),门卫建筑面积21平方米(计容建筑面积21平方米),计容建筑面积43092.69平方米,容积率1.802,建筑密度58.84%,绿地率2.8%。机动车车位26个(含充电桩车位14个),非机动车车位248个(不含电动自行车位)。
三、咨询电话:
寿县经开区北区服务中心0554-2751065
寿县自然资源和规划局规划股0554-4020402
四、批准文件及文号
《寿县人民政府关于安徽蔚蓝塑业科技有限公司年产8000万件智能家居用品+2亿个包装产品+500万件金属制品加工制造项目修建性详细规划调整的批复》(寿政秘〔2026〕31号)
五、附图
区位图



总平面图


效果图







寿政秘〔2026〕31号 寿县人民政府关于安徽蔚蓝塑业科技有限公司年产8000万件智能家居用品+2亿个包装产品+500万件金属制品加工制造项目修建性详细规划调整的批复.pdf
寿县自然资源和规划局
2026年3月27日
皖公网安备 34042202000005号