寿县刘岗镇LG-02单元创业大道与郑楼路交叉口西南侧局部地块详细规划(调整)公示

发布时间:2026-01-04 14:47信息来源:寿县经济开发区管委会文字大小:[    ] 背景色:       

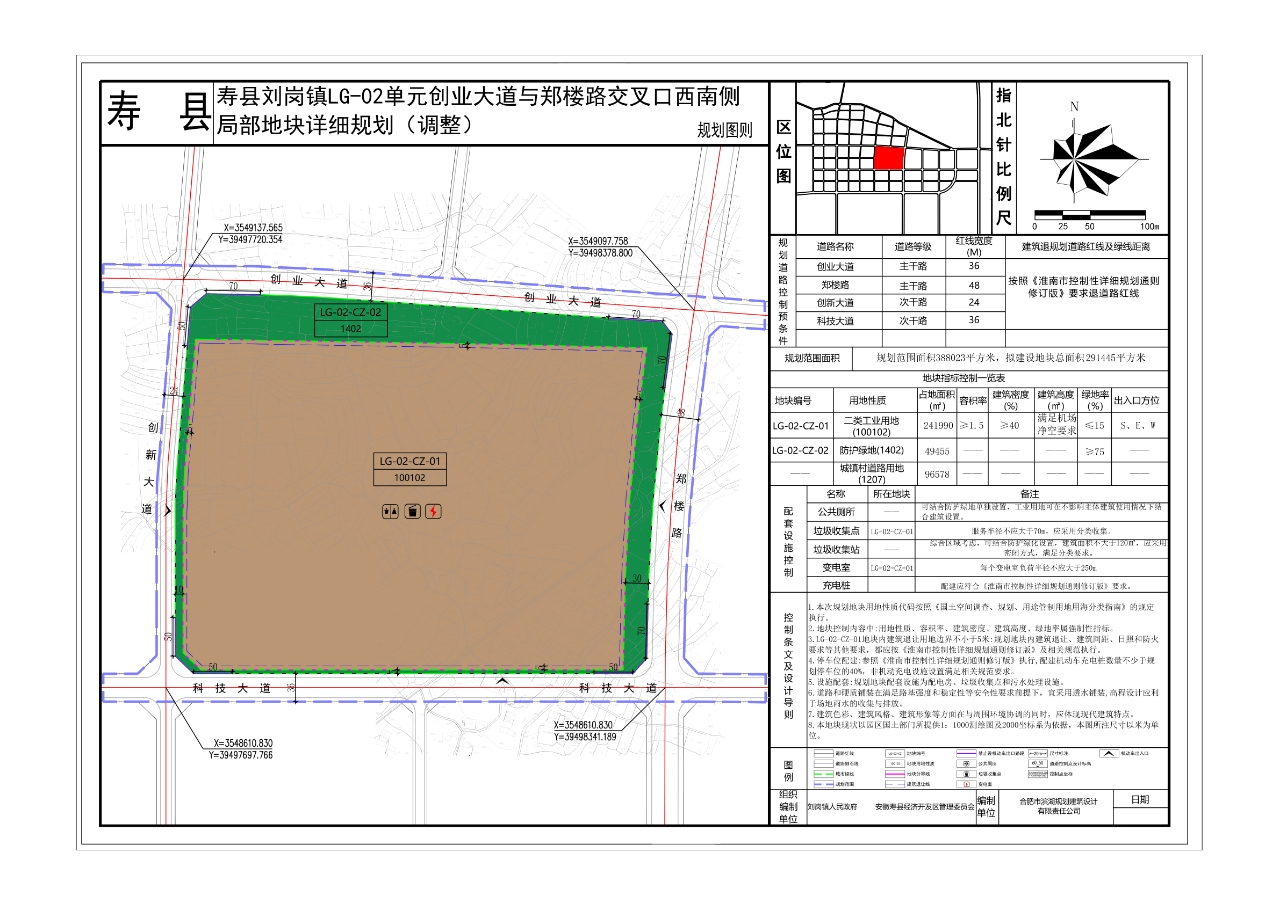
寿县刘岗镇LG-02单元创业大道与郑楼路交叉口西南侧局部地块详细规划(调整)由合肥市滨湖规划建筑设计有限责任公司编制完成,现予以公示,项目地址位于寿县刘岗镇创业大道与郑楼路交叉口西南侧,公示时间2026年1月4日至2026年2月3日,敬请公众提出意见和建议。

联系电话:0554-4990985、0554-4993519

附图:详细规划调整图则

 

 

 

 

 

寿县自然资源和规划局

2026年1月4日

 

 

 

 

 

 

附图:

    正在更新中...
为进一步了解掌握社会公众对政策执行效果的反馈与评价,请您对该政策的制定及执行提出宝贵的意见或建议。我们将及时收集并分析,共同助力政策不断完善。
  • 姓  名:

  • 联系方式:

  • *内  容:

  • *验 证 码: